Размер шрифта
Новости Спорт
Выйти
Новое покушение на ТрампаВойна США и Израиля против Ирана
Наука
ТВЗ

«Затонул в результате взрыва»: что нашли вместо «Боинга»

В ходе поиска малайзийского «Боинга» найдены обломки кораблей

Затонувшие корабли вместо малайзийского «Боинга» нашли на дне океана поисковые команды. Историки выяснили, каким затонувшим кораблям принадлежат эти останки.

Четырехлетние поиски пропавшего в Индийском океане малазийского лайнера Boeing 777 привели к неожиданным результатам. Возможно, с их помощью удастся разрешить другую загадку об исчезновении кораблей, которые следовали с грузом угля в XIX веке. В минувший четверг морские историки опубликовали список кораблей, чьи останки, возможно были найдены при помощи сонара во время первоначальной фазы поисков.

Boeing 777, на борту которого находились 239 человек, выполнял рейс MH370 по маршруту Куала-Лумпур — Пекин и исчез с экранов радаров 8 марта 2014 года. Исчезновение лайнера привело к самой масштабной в своем роде морской поисковой операции, которая до сих пор не привела к результатам

и стала поводом для множества слухов и конспирологических теорий.

Вскоре после крушения анализ сигналов, переданных самолетом на спутник, и расчет остававшегося на борту топлива позволили экспертам рассчитать предполагаемый район крушения, где корабли нескольких стран до января 2017 года и продолжали бесплодные поиски. Они велись на узкой полосе Индийского океана к западу от австралийского побережья, их площадь составляла 120 тыс. км. Не добившись результата, Австралия, Малайзия и Китай в январе прошлого года прекратили поиски, на которые за три года было потрачено $160 млн.

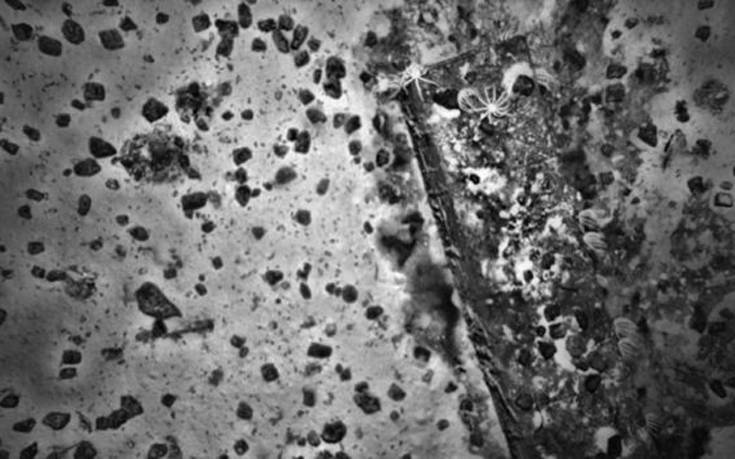
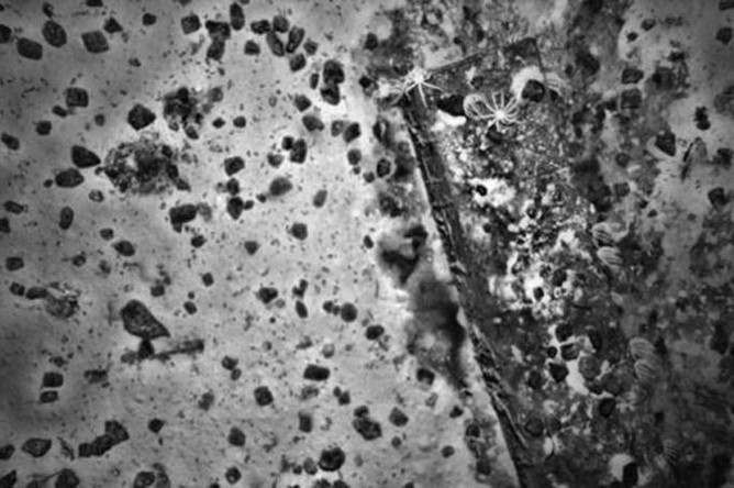
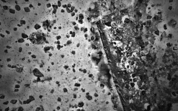
Выяснилось, что обломки двух кораблей были обнаружены при помощи сонара еще в 2015 году в 2300 километрах к юго-западу от австралийского побережья. Останки лежат на глубине 3,7 километра в 37 километрах друг от друга.

Историкам удалось получше рассмотреть фрагменты двух кораблей при помощи управляемых подводных аппаратов и

даже получить образцы угля, который ими перевозился и теперь разбросан по океаническому дну.

Анализ угля показал, что его с большой вероятностью везли из Великобритании, рассказали сотрудники Музея Западной Австралии. По их мнению, останки корабля, обнаруженные 19 мая 2015 года, принадлежат бригу «Гордон» или барку «Магдала», на что указывают исторические документы о кораблях, пропавших в тот период времени.

Судно «Гордон» пропало в 1877 году по пути из Шотландии в Австралию, на его борту находились 10 членов команды. «Магдала» же пропала в 1882 году по пути из Уэльса в Индонезию. По словам историков, расщепленные обломки указывают на то,

что корабль, скорее всего, затонул в результате взрыва.

Известно, что в те времена на кораблях, перевозивших уголь, иногда происходили взрывы газа метана, скапливавшегося в трюмах, из-за случайной искры или из-за высокой температуры. «Данные указывают на то, что корабль затонул в результате катастрофического события вроде взрыва, что часто случалось при перевозке угля», — сказал Росс Андерсон, куратор отдела морской археологии.

Железные обломки, обнаруженные 19 декабря 2015 года, скорее всего, принадлежали барку «Уэст Ридж», который пропал в 1883 году с 28 моряками на борту по пути из Англии в Индию. Анализ угля, который везло судно, указывает также на его британское происхождение. У историков нет данных, на основе которых можно предположить причину затопления судна, однако его обнаружение к востоку от традиционных морских путей из Европы в Азию свидетельствует о том, что его команда направлялась в ближайший австралийский порт за помощью.

По словам Андерсона, новые находки стали неплохим результатом бесплодных поисков пропавшего малайзийского лайнера. Однако, по его словам, ученым вряд ли удастся точно определить принадлежность обломков без помощи состоятельных благотворителей из-за большой глубины и удаленности их от берега.

«Это наиболее глубоко находящиеся обломки, лежащие на дне Индийского океана, и одни из самых глубоких во всем мире», — сказал историк.

Фрагменты кораблей были найдены во время первого этапа поисков, которые вели Малайзия, Китай и Австралия, решившие в январе прошлого года свернуть из-за дороговизны и отсутствия результата. Кроме того, во время первого этапа были найдены и обломки двух траулеров, затонувших в конце XX века, однако австралийские власти не обращались в музей для их исследования. Полный отчет об обнаружении и исследовании обломков кораблей можно найти на сайте музея.

В настоящее время обломки пропавшего лайнера ведет частная американская компания Ocean Infinity. В январе этого года правительство Малайзии обещало поисковикам выплатить $70 млн в случае обнаружения лайнера или его черных ящиков.

 
Смертельные снегопады, встреча Путина с главой МИД Ирана и первый приговор за сатанизм: главное за 27 апреля
На сайте используются cookies. Продолжая использовать сайт, вы принимаете условия
Ok
1 Подписывайтесь на Газету.Ru в MAX Все ключевые события — в нашем канале. Подписывайтесь!